Service Guide

Get Ants Extermination Service

Local contractors provide ant extermination services to eliminate infestations and protect properties from damage caused by ants.

Ants can quickly become a persistent nuisance for property owners, making effective extermination services an important consideration. Whether dealing with an ongoing infestation or taking preventative steps, residents and business owners in the area can benefit from exploring local contractors who specialize in ant control. By comparing available options, property owners can find solutions tailored to their specific needs, helping to protect their spaces from unwanted pests.

Finding the right ant extermination service involves understanding the options available within the local community. Service providers in the area offer a range of approaches to address ant problems efficiently and effectively. Continuing to explore and compare local contractors ensures that property owners can select the most suitable professionals to handle their pest management projects with confidence.

Get Ants Extermination Service Quotes

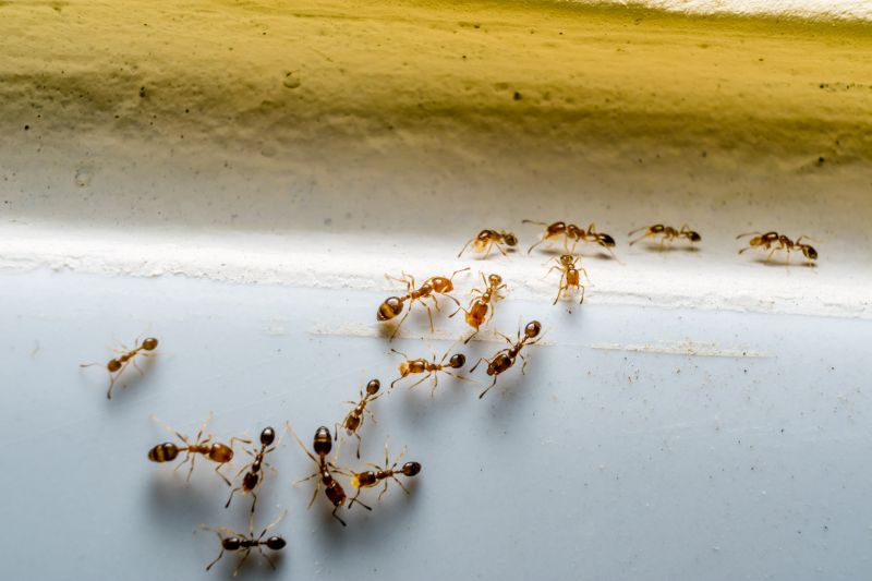
  • Ants Extermination - needed when ants invade kitchens or other indoor spaces.
  • Ants Prevention - required to stop future ant infestations around a property.
  • Ants Inspection - essential for identifying ant activity and entry points.
  • Ants Removal - necessary when ants are present in outdoor or indoor areas.
  • Ants Control - sought after to manage large or persistent ant colonies effectively.
Ants Extermination Service
Ants Extermination Service
Ants Extermination Service

Ants extermination services involve identifying and eliminating ant infestations within residential or commercial properties. Skilled service providers typically conduct a thorough inspection to locate ant colonies and determine the species involved. They then apply targeted treatments, such as baiting or localized sprays, to effectively eradicate the ants and prevent future invasions. These services are designed to address both visible ant activity and hidden nests that may be deep within wall voids, foundations, or outdoor landscaping.

This service helps solve common problems associated with ant infestations, including property damage, unsanitary conditions, and nuisance issues. Ants can invade kitchens, pantries, and other areas where food is stored, contaminating supplies and creating an unclean environment. In some cases, ant colonies can be large and difficult to control without professional intervention. Service providers use proven methods to eliminate the entire colony, reducing the likelihood of recurring problems and restoring comfort to the property.

Ant extermination services are frequently used on a variety of property types, including single-family homes, apartment complexes, and small commercial buildings. Residential properties often seek these services when ants become a persistent nuisance or when there is a suspicion of a hidden nest. Commercial properties such as restaurants, grocery stores, and food storage facilities also rely on professional exterminators to maintain sanitary conditions and comply with health regulations. Regardless of property size, trained local contractors can tailor their approach to meet specific needs and ensure effective results.

Homeowners typically turn to ant extermination services when they notice signs of an infestation, such as ant trails, unexplained ant activity, or damage caused by certain ant species. Prompt professional assistance can help prevent the problem from escalating, especially in cases where ants threaten food supplies or become a recurring issue. By working with experienced service providers, property owners can address ant problems efficiently and restore a clean, pest-free environment.

The overview below groups typical Ants Extermination Service projects into broad ranges so you can see how smaller, mid-sized, and larger jobs often compare in your area.

In many markets, a large share of routine jobs stays in the lower and middle ranges, while only a smaller percentage of projects moves into the highest bands when the work is more complex or site conditions are harder than average.

Basic Ant Extermination - Most routine ant control treatments typically range from $250 to $600 for smaller homes or minor infestations. Many projects fall within this middle band, covering standard applications and spot treatments. Fewer jobs reach the higher end of the spectrum, which may involve more extensive services.

Intermediate Pest Management - Larger or more persistent ant problems can cost between $600 and $1,200. These projects often include multiple treatments, barrier applications, or extended service plans. Many local contractors handle these mid-range jobs regularly.

Full Property Treatment - Complete extermination of an entire property or large-scale infestations can range from $1,200 to $3,000. Such projects are less common and usually involve comprehensive approaches, including structural treatments and follow-up visits.

Comprehensive Ant Control - For extensive or complex ant infestations requiring multiple visits and integrated pest management, costs can exceed $3,000, sometimes reaching $5,000 or more. These larger projects are less frequent but handled by experienced service providers for thorough results.

Actual totals will depend on details like access to the work area, the scope of the project, and the materials selected, so use these as general starting points rather than exact figures.

Get a Quote

Pest Control for Cockroaches - professionals use similar inspection, treatment, and prevention techniques to eliminate pests and protect property from infestations.

Spider Removal Services - local contractors employ targeted strategies and tools to identify and remove spiders, sharing skills with ant extermination methods.

Bed Bug Treatment Projects - these projects involve detailed inspection and treatment plans comparable to ant control efforts to ensure thorough eradication.

Termite Control Services - experts plan and execute treatments to eliminate termites, utilizing techniques similar to those used in ant extermination.

Rodent Exclusion Projects - contractors design and implement strategies to seal entry points and remove rodents, sharing planning skills with ant control services.

Wildlife Removal Services - professionals handle the safe removal and exclusion of various wildlife pests, employing planning and tools similar to ant extermination efforts.

Ants Extermination Service

When comparing local contractors for ant extermination services, it is important to consider their experience with similar projects. A service provider who has handled ant control in homes comparable to yours is likely to understand the specific challenges and effective strategies needed for your situation. While experience alone isn’t the only factor, it can provide insight into their familiarity with different types of ant infestations and the most suitable methods to address them effectively.

Clear, written expectations are crucial when evaluating potential service providers. A reputable contractor will be able to communicate their approach, what the service includes, and any preparations or follow-up needed. Having this information in writing helps ensure there is a mutual understanding of the scope of work and prevents misunderstandings. It’s also helpful to ask for a detailed outline of the services offered so that expectations are transparent from the start.

Reputable references and good communication are key indicators of a trustworthy local contractor. References from previous clients can provide insights into the contractor’s reliability, professionalism, and quality of work. Additionally, a service provider who maintains open, responsive communication can make the process smoother and more predictable. It’s important to remember that this site introduces homeowners to local options for ant extermination, serving as a resource to connect with qualified service providers rather than performing the work directly.

Get an Ants Extermination Service Quote

Property owners use Ants Extermination Service services for practical projects around their homes and businesses. This guide focuses on everyday jobs and straightforward project options.

Ants Extermination Service
Ants Extermination Service

Ants can quickly become a common nuisance for property owners dealing with everyday issues like food contamination, property damage, or simply an increase in unwanted pests around their homes or businesses. When ant colonies invade kitchens, storage areas, or outdoor spaces, local contractors specializing in ant extermination can provide effective solutions to eliminate the problem and prevent future infestations. These service providers are equipped to handle various situations, whether it's a small ant trail or a more extensive colony that requires targeted treatment.

Property owners often seek ant extermination services to maintain a clean and safe environment, especially in areas where food is prepared or stored. Ants can also be a sign of underlying pest issues that may need professional attention. Local pest control specialists are available to assess the situation, recommend appropriate treatment options, and help keep homes and commercial spaces free from persistent ant problems. Connecting with experienced service providers can make it easier to address these common, everyday pest concerns efficiently.

Get an Ants Extermination Service Quote

How can I identify an ant infestation in my home? Signs of an ant infestation include visible trails, ant activity around food sources, and small piles of dirt or debris near entry points.

What types of ants do extermination services typically target? Local service providers commonly handle common household ants such as odorous house ants, pavement ants, and carpenter ants.

Are ant extermination treatments safe for pets and children? Many ant control methods used by local contractors are designed to be safe when applied according to instructions, but it's best to discuss safety concerns with the service provider.

What areas of my property should be treated for ants? Treatments often focus on entry points, nesting sites, and high-traffic areas around the home and yard.

How do local contractors typically approach ant extermination? Service providers usually combine habitat elimination, baiting, and targeted treatments to effectively control ant populations.

Ants Prevention Tips - Property owners can learn how to reduce attractants around their home to prevent ant infestations.

Inspection and Identification - Local service providers can identify ant entry points and nesting sites during routine inspections.

Barrier Treatments - Homeowners can explore barrier treatment options to keep ants from entering living spaces.

Ongoing Monitoring - Property owners can implement monitoring strategies to detect ant activity early and plan for treatment needs.

Ants Extermination Service

If you are thinking about Ants Extermination Service for a property, this guide is meant to help you understand the work, the typical project types, and how different options might fit your plans.

When you are ready, you can use the quote form on this page to share a few details about your project. From there, local pros can review the basics and respond with options that match what you have in mind.

Get a Quote

Ants Extermination Quotes